湘南モノレールは「海岸」まで延びる予定だった 終点「湘南江の島駅」の位置はどう決まったか
さて、こうして世界的にも珍しい懸垂型モノレールの実用線として華々しいデビューを果たした湘南モノレールであるが、営業初日の7日に、朝からポイント故障によるトラブルに見舞われた。その様子を3月8日付の神奈川新聞が報じている。
ちなみに、営業開始から1年後の1971年7月の全通時に、三木忠直常務取締役・技師長が、「1車月平均6000km、1年で約70000km走ったが、車両故障では継電器箱の孔に蜂が入って絶縁不良を起こしたことがあったきり、運転事故はない」とメディアの取材に対して話していることから、少なくとも、開通後の1年間は、目立ったトラブルはなかった模様である。
何度も変わった終点駅の位置
大船―西鎌倉の部分開通は成ったものの、終点・片瀬までの全通が急がれた。営業収支の面から見ると、やはり全線開通によるのでなければ日常経費を賄うにも不足しそうな状況だったのである。
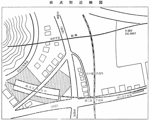
残りの工事区間である西鎌倉―片瀬は、わずか2kmの短距離にも関わらず、用地取得においても土木工事面においても難問が山積していた。とくに目白山下駅から先は、用地問題を中心に複雑な経過をたどり、路線計画が二転、三転した。
時系列で整理すると、まず、湘南モノレールの路線構想が持ち上がった初期には、終点駅は、小田急電鉄の片瀬江ノ島駅と境川を挟んで向かい側付近に予定していた。しかし、周辺住民の反対などがあり、断念せざるを得なくなる。
そこで、代替案として海岸まで100mの距離にある2000坪の土地・建物を日立金属工業から2億2千万円で買い受け、ここを終点駅として片瀬山トンネルから県道上を横断して江ノ電江ノ島駅構内上空を通過する計画(次頁、終点付近略図の「当初予定路線」)に変更した。この間の経緯については、『設営の記録』に詳しい。
『我々は終点を片瀬海岸で、小田急終点駅と境川弁天橋を挟んで相対峙する場所、江ノ島通路にまっすぐに通ずる所を選び、丁度その場所に旅館洗心亭を営み藤沢市会議長(当時)でもある山口倉吉氏などが中心となり、その仮定終点までに至る路線に当る民家をしらみつぶしに当ったのであるが、この案では終端付近がどうしても用地上不可能に近いことが判り、少し後退した所で、以前日活が中心となり映画館を建設する目的で、空地となっている境川沿いの約五〇〇坪の場所を、暫定的終点としてはとの藤沢市役所方面の話があり、これを目標として、そこに至るまでの自転車屋、歯科医院等の抵抗に合いつつ用地工作を進めた。然るに、この反対論者が衆を集めて反対陳情書を市会に提出する等のこともあったので、種々検討の結果、(中略)日立金属の土地買収のことになったのである。』
文中の「旅館洗心亭」があったのは、小田急の片瀬江ノ島駅改札を出て、境川に架かる弁天橋を渡った先、現在、「ここは湘南」の石碑が立っている場所である。




















無料会員登録はこちら
ログインはこちら