開業50年「湘南モノレール」なぜ住宅街を爆走? 「懸垂式」アピール狙い大阪万博の年に開通
結局、京浜急行道路は地方鉄道法における「道路」、すなわち公道ではないという解釈は一応容認されたものの、「建設省はこれを簡単に認めることによって公道の場合につながることを恐れ」(設営の記録)、なかなか許可しようとせず、免許が下りるまでに丸一年以上が費やされた。
さらに、用地買収も一筋縄ではいかなかった。路線の大部分が京浜急行道路上を利用できたものの、このうちの「約30%は、借地であった」(設営の記録)こと、また残りの70%についても、駅用地はもちろん支柱を立てる際にも、道路をはみ出して基礎工事をする場合には、それぞれの土地の権利者と折衝しなければならなかった。
とくに用地問題が紛糾したのが、路線両端の大船と片瀬界隈だった。大船は1970年6月に駅東口都市再開発計画が決定され、また、根岸線がいよいよ大船駅を目指して延伸されている時期(全通は1973年4月)でもあり、今後、交通の要衝として発展するのが確実な情勢だった。このような状況だったので、当然のように、いわゆる「ゴネ得」を狙う人もおり、用地買収費用がかさんだ。
駅がビル5階になった理由
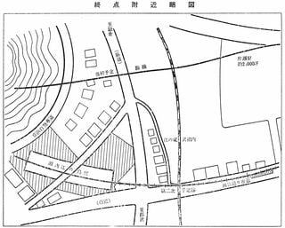
一方、もっと複雑な経過をたどったのが、終点の片瀬側の用地取得だった。
まず、計画の初期段階では、江の島へのアクセスがいい小田急電鉄の片瀬江ノ島駅と境川を挟んで向かい側付近に駅を設置する予定だった。
しかし、土地の有力者と話し合った結果、これが不可能となり、「次善の策として海岸まで100メートルの距離にある片瀬内住宅土地共約2000坪を日立金属工業から約2億2千万円で買受け、ここを終点駅として竜口山中心部を隧道で抜き県道上を横断して江ノ電江ノ島駅の中央部を通過する」(設営の記録)計画に変更した。
しかし、「江ノ電駅中央部を横断することについては江ノ電側の強硬反対論」(設営の記録)に遭い、江ノ電の親会社である小田急電鉄の当時の社長、安藤楢六氏の仲裁で、「江ノ島駅の藤沢寄り洲鼻通上を横断することを江ノ電は承認することとして(中略)予定の2000坪の土地を放棄し、洲鼻通の江ノ電駅付近に設けることに変更した」(設営の記録)。
ところが、この計画も駅用地の交渉で暗礁に乗り上げ、最終的に湘南江の島駅は、県道に面した現在の位置まで後退せざるをえなかった。しかも、この場所は竜口山の隧道を出てすぐに位置するため、隧道出口と同じ高さであるビル5階(地上約15m)にホームを設置せざるをえなかったのである。





















無料会員登録はこちら
ログインはこちら