天気の"からくり"を解き明かす気象学者、「台風の眼」に航空機で突入して直接観測するワケ。「未来に上陸するスーパー台風に備えよ」
スーパー台風に突入せよ
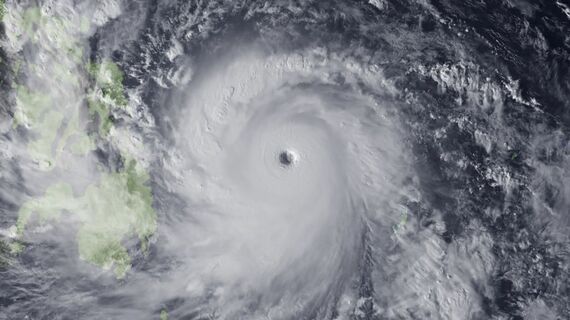
その眼は、突然、私たちの前に現れました。
普通の民間航空機の飛行高度の上端より3㎞も高い高度をジェット機で飛行し、沖縄の南東にあるスーパー台風ラン(2017年台風第21号)に向かっているときです。ジェット機のレーダは、巨大なまん丸の穴を映し出していました。
「これが台風の眼?」
そこにはまるで人が作ったような真円に近い何もない領域が見えていて、自然が作ったものとはにわかに思えませんでした。
日本で初めて、スーパー台風(最大地上風速が毎秒67m以上の台風)の航空機観測を行ったのは2017年10月21日でした。
台風の眼は壁雲という発達した背の高い雲がドーナツ状に取り巻いていて、眼の中に入るにはそれを突き抜けなければなりません。雲の高さは海抜15~16㎞に達し、その上を飛べるジェット機はないからです。
最近は気象衛星が精細な雲の画像を送ってくるので、巨大な台風の渦の中心に小さな眼を見ることができます。台風全体からすれば小さな部分に見えますが、眼とそれを取り巻く幅数十㎞の壁雲が台風のエンジンです。
車のエンジンには効率の良いものと悪いものがあるように、台風にも効率の良い壁雲を持つものとそうでないものがあります。そしてスーパー台風は、台風の中でも最も効率の良いエンジンを持っていて、地球上で最強の台風になれるのです。
海上の風が海の熱を水蒸気という形で奪い、台風の中心へと運びます。その水蒸気が壁雲で雲粒になるときに熱を出すと、壁雲が取り囲んでいる眼の中が暖まります。
高度約1~十数㎞の全層が暖まることがありますが、その最も暖かい空気は高度10㎞付近にあるといわれています。しかし、実際はどのような暖まり方をしているかわかっていません。
その暖まり方によって、台風の中心気圧、つまり台風の強さが決まります。台風の最大の秘密は壁雲とそれに囲まれた眼にあるのです。これを知るためには眼の中に入って、直接観測するしかありません。
どんなものでも自然というのはその秘密を厚いベールで覆っていて、真実はその向こうにあります。科学者の仕事はその秘密を知ることですが、そのためにはそれを隠すベールを取り去らなければなりません。そうはいっても相手は台風ですからベールを取るのもたいへんです。
台風と同じ熱帯低気圧のハリケーンを観測している米軍のハリケーンハンターの人たちは、特別な改造をした軍用機を使って、高度3㎞という低いところで、眼の壁雲を突き抜けて中に入ります。





















無料会員登録はこちら
ログインはこちら